Are your tomato leaves drying up this year? Then you are not alone, a lot of other gardeners are facing the same issue with their tomato plants. In this article, I will talk about why tomato leaves are drying up and what you can do to recover your plant.
NOTE: Tomato leaves do not dry up just because of a single specific reason; there can be multiple causes.
Don’t worry, though; after reading this guide, you’ll be able to identify the exact cause on your own.
I am assuming that you have already checked your tomato plant and did not notice mealybugs, aphids, or any other sap-sucking insects.
If you have encountered any of those, just use the search button on this site and get the remedies accordingly, as I have covered everything on GardenVive.
Tomato leaves are drying up due to the heat

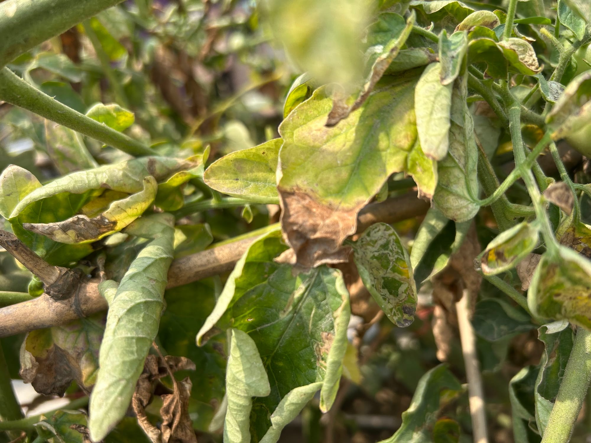
When a tomato plant starts transpiring (kind of sweating) faster than the plant can pull water from the roots, the leaves dry up and turn brown (as shown in the picture).
This happens when the heat increases suddenly. (To be more specific, when it's above 90F)
So, how can you tell whether it’s caused by heat or something else?
Leaves usually curl upward and feel leathery instead of crunchy.
What to do in this situation?
Mist water in the evening and morning on the plant, especially if flowers are falling off.
Use 30% to 40% shade cloth. Use frames so that the cloth does not touch the plant leaves or branches.
If the cloth touches the plant, it will burn more.
Do not prune at this stage. The dry leaves actually can provide some sort of shade to the plant and check for white spots, powdery mildew, or mold.
If the leaves are infected, prune without hesitation.
Tomato Leaves Drying Due to Extreme Cold
Tomatoes can be grown nicely when the temperature is between 70°F – 85°F during the day and 59°F – 70°F at night.
But most of us forget the soil temperature. It should be 65°F – 70°F.
This temperature range is ideal for growing your tomato plant. But it does not mean that it can not handle colder nights or warmer days.
If temperatures drop below 50°F consistently, your tomato plant will go into stress. This stress can cause the green leaves to dry.
So, keep your weather alert application ready or check the weather forecast regularly if you are from a colder region.
Using a frost cloth is a must if it's below 41°F (5°C). Reference: When to cover plants in winter.
If your tomato plant is potted, bring it inside. Reference: When to bring plants inside in winter.
If your tomato plants are drying up due to the cold, it will not start with browning first. The green leaves will become crunchier and crunchier until the leaves dry up completely.
Till now, I have talked about the most possible reasons for dry leaves on a tomato plant.
Now, I’ll discuss a few more points that will clear up many of your doubts and confusion.
If you notice that only the lower leaves are getting dry, this is normal, and there is no need to worry about this.
If you see, only the edges of the leaves are drying up, it's surely underwatering. Water deeply in the morning (As early as possible).
Curly and dry leaves at the same time indicate that your plant is under heat stress.

Here, you can see curly leaves, with the leaf tip turning brown at the same time. This means it is underwatered and in heat stress at the same time.
If you have any other issues that you wanna discuss with me, just use the contact button after becoming a member of this site. I will surely try to help you out.